3338522757

Terreno en Venta Tapalpa Jalisco

Tapalpa, Tapalpa, Jalisco

  • Terreno
  • 5,054 m² de terreno
  • $950 MXN por m² En Venta

Descripción

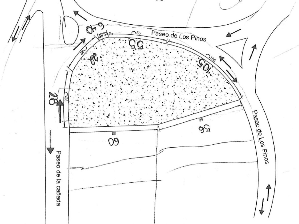
Terreno en Tapalpa, km 25

El terreno se encuentra a 4.5 km de la frontera y a 11.5 km de centro de tapalpa

MEDIDAS
-Frente 116 m x Fondo 60 m
-Superficie Total: 5054.21 m2

PRECIO
- $5,054,210 = $1,000/m2

Acepta créditos, con pago de enganche desde 10%

CARACTERÍSTICAS
-Propiedad privada
-Libre de gravamen
- A 300 metros aprox de la carretera
-Luz sobre la carretera

¡Para mas informacion, contactanos!

*Los precios y disponibilidad están sujetos a cambios sin previo aviso.*
*Los precios aquí publicados no incluyen impuestos, costos generados por contratación de créditos hipotecarios, ni tampoco gastos, derechos e impuestos notariales.*

Detalles

ID:EB-UY6514
Tipo:Terreno
Precio de venta: $950 MXN por m²
Terreno:5,054 m²
Fondo del terreno:60 m
Frente del terreno:116 m